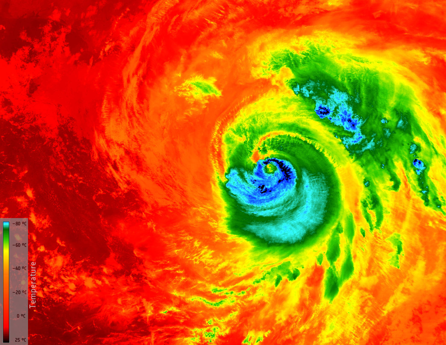
Den gigantiska orkanen Matthew drog in över Haiti i början på oktober med stor förödelse och många tusentals drabbade. Med hjälp av data från Copernicus-satelliten Sentinel-3A kan orkanen spåras från rymden.
Bilden visar centrum av orkanen då den närmande sig östra kusten av Florida, den 6 oktober. När orkanen var 200 km från Miami Beach visade bilderna att orkanen var 400 km bred. Med hjälp av ett instrument som mäter energin som strålar ut från jorden kunde satelliten även göra iakttagelser av orkanens temperatur. Det visade sig att temperaturerna varierade mellan –80° C vid toppen av stormen, som var 12 km över havet, till +25° C vid Atlantens yta.
Satelliten Sentinel-3A sändes upp i rymden den 16 februari i år och är en del av ESAs Copernicus-program. Under 2017 planeras en systersatellit till Sentinel-3A att sändas upp, kallad Sentinel-3B. Här kan du läsa mer om Copernicus-programmet.






